Notice of Passing: ZBA-01-2025
Form 1, The Planning Act, R.S.O. 1990
Notice of the Passing of a Zoning By-law Amendment by the Municipality of Lakeshore
ZBA-01-2025
TAKE NOTICE that the Council of the Municipality of Lakeshore has passed By-law 41-2025 on the 3rd day of June 2025, under Section 34 of the Planning Act, R.S.O. 1990.
Only individuals, corporations and public bodies may appeal a by-law to the Ontario Land Tribunal. A notice of appeal may not be filed by an unincorporated association or group. However, a notice of appeal may be filed in the name of an individual who is a member of the association or the group on its behalf.
No person or public body shall be added as a party to the hearing of the appeal unless, before the by-law was passed, the person or public body made oral submissions at a public meeting or written submissions to the council or, in the opinion of the Tribunal, there are reasonable grounds to add the person or public body as a party.
An appeal to the Ontario Land Tribunal in respect of the By-law may be completed by filing with the Clerk of the Municipality of Lakeshore not later than the 22nd of July, 2025, a notice of appeal setting out the objection to the By-law and the reasons in support of the objection, accompanied by the required fee, as per the Ontario Land Tribunal website, made payable to the Minister of Finance.
An explanation of the purpose of the by-law, describing the lands to which the by-law applies, and a key map showing the location of the lands to which the by-law applies, are detailed below. The complete By-law and any associated information is available for inspection at Town Hall during regular office hours.
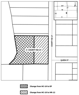
EXPLANATORY NOTE: By-law 23-2024 affects the land hatched and labelled “0 County Road 27” in the Key Map provided. The by-law re-zones the land from Hamlet Commercial Exception 10 (HC-10) to Hamlet Residential (HR-12) with a reduced setback from a municipal drain of 4.8m from the north lot line from the required 8.0m as per subsection 6.34 c) ii) of the Zoning By-law 2-2012 to accommodate future residential development, and Environmental Protection (EP).
DATED at the Municipality of Lakeshore this 2nd day of July 2025.
- Matt Alexander, Planning Consultant, Community Planning
- Municipality of Lakeshore, 419 Notre Dame Street Belle River Ontario N0R 1A0
- (416) 644-0334, malexander@lakeshore.ca
Attachments:
Contact Us
Municipality of Lakeshore
419 Notre Dame St.
Belle River, Ontario N8L 0P8
Phone 519-728-2700
Email PublicService@Lakeshore.ca