Notice of Public Hearing: B-04-2024
Notice of Public Hearing, Municipality of Lakeshore
In the Matter Of The Planning Act, R.S.O. 1990, Chapter 1, as amended, and, in the matter of an application for consent by:
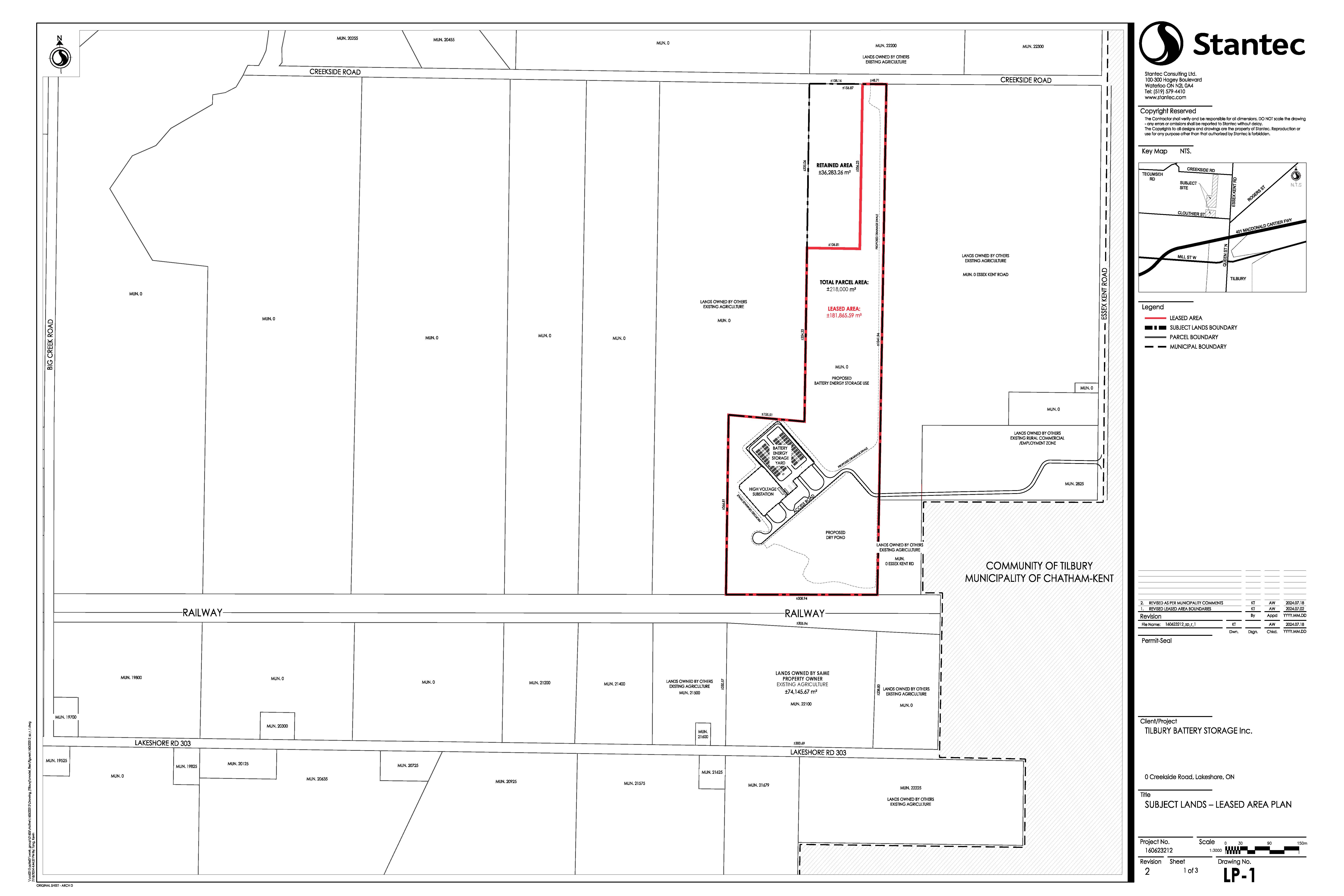
Subject Property: 0 Creekside Road (Legal description: Part of Lots 21-22, Concession 2, Tilbury, as in R1000035; subject to TN7842; Lakeshore, subject to an easement in gross over Part 8 on 12R29203, as in CE1137507)
Applicant(s): Angela Wang
Purpose of Application: The Municipality of Lakeshore has received a consent application to allow a lease agreement of greater than 21 years to be registered that would allow lands of the Subject Property to contain a battery storage facility. The proposed lease term is 25 years with two options to renew for an additional 10 years and 8 years, respectively.
TAKE NOTICE that an application under the above file number will be heard by the Committee on the date, time and place shown below:
DATE: September 18, 2024
TIME: 6:00 pm
LOCATION: 419 Notre Dame St, Belle River (Town Hall – Council Chambers)
This will be a hybrid public meeting where both in person attendance and electronic attendance is supported. There will be opportunities to provide oral input electronically and in person. Providing written comments, prior to a decision being made, is strongly encouraged.
During such a time any person who wishes to attend this Public Meeting electronically and /or speak at this meeting, you will need to register as a delegation for the meeting. Please provide your contact information (name, address, email and phone number) to Development Services, via email to Ian Search, Planner, at isearch@lakeshore.ca or phone 519-728-1975, ext. 246, no later than the deadline of 24 hours prior to the date and time of the scheduled meeting. Attendees/Delegates will be contacted directly with registration details prior to the meeting.
This is a Public Meeting called for the purpose of hearing evidence in support of or in opposition to the above-noted application for consent.
- Further information on this application may be obtained by contacting the undersigned. If you have comments on this application, they may be forwarded in writing to the Secretary-Treasurer at the address shown below. Your comments will then be conveyed to the Committee of Adjustment members for consideration at the meeting.
- If a person or public body has the ability to appeal the decision of the Committee of Adjustment in respect of the proposed consent to the Ontario Land Tribunal but does not make written submissions to the Committee of Adjustment before it gives or refuses to give a provisional consent, the Tribunal may dismiss the appeal.
- If you wish to be notified of the decision of the Committee of Adjustment in respect of the proposed consent, you must make a written request to the Committee of Adjustment by contacting Ian Search (Secretary-Treasurer). Please see contact details below.
- It is requested that this notice be posted by the owner of any land that contains seven or more residential units in a location that is visible to all of the residents.
Date of Notice: September 4, 2024
Contact Us
Municipality of Lakeshore
419 Notre Dame St.
Belle River, Ontario N8L 0P8
Phone 519-728-2700
Email PublicService@Lakeshore.ca