Notice of Public Meeting: B-04-2026
Notice of Public Hearing, Municipality of Lakeshore
In the matter of the Planning Act, R.S.O. 1990, Chapter 1, as amended, and in the matter of an application for consent by:
Subject Land: 657 & 655 Summit Street
Applicant: Maple Leaf Homes Ltd.
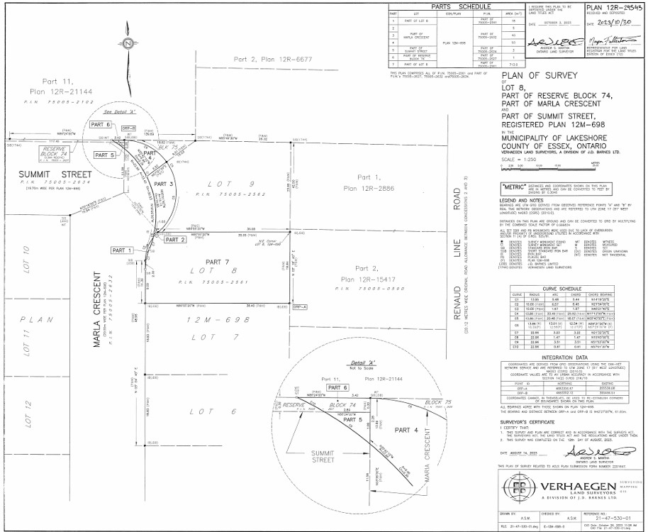
Purpose of Application: An application has been made to transfer 43.06 ft² (4 m²) of land to 655 Summit Street from 657 Summit Street.
The parcel of land to be severed is located in the southwest corner of 657 Summit Street and will be added to the southeast corner of 655 Summit Street. This land transfer is required so that the frontage of 655 Summit Street follows the curvature of the road.
The land addition parcel is indicated as Part 6 and Part 5 together on the registered Plan of Survey that is attached to this notice.
An aerial map showing the location of the subject land and the land addition parcel illustrated in blue outline is attached to this notice.
Take notice that an application under the above file number will be heard by the Committee of Adjustment on the date, time, and place shown below:
DATE: April 15, 2026
TIME: 6:00 pm
LOCATION: 419 Notre Dame St, Belle River (Town Hall – Council Chambers)
This will be a public meeting where both in-person attendance and electronic attendance are supported. There will be opportunities to provide oral input electronically and in person. Providing written comments prior to a decision being made is strongly encouraged.
During such a time, any person who wishes to attend this Public Meeting electronically and/or speak at this meeting will need to register as a delegation for the meeting. Please provide your contact information (name, address, email, and phone number) to Community Planning via email to Ian Search, Planner, at isearch@lakeshore.ca or by phone at 519-728-1975, ext. 246, no later than the deadline of 24 hours prior to the date and time of the scheduled meeting.
Attendees/Delegates will be contacted directly with registration details prior to the meeting.
- This is a Public Meeting called for the purpose of hearing evidence in support of or in opposition to the above-noted application for severance.
- Further information on this application may be obtained by contacting the undersigned. If you have comments on this application, they may be sent to Ian Search by emailing isearch@lakeshore.ca or submitted in person by appointment. Your comments will then be conveyed to the Committee of Adjustment members for consideration at the meeting. Please note that comments received will be shared with the Applicant.
- If a person or public body has the ability to appeal the decision of the Committee of Adjustment in respect of the proposed consent to the Ontario Land Tribunal but does not make written submissions to the Committee of Adjustment before it gives or refuses to give provisional consent, the Tribunal may dismiss the appeal.
- If you wish to be notified of the decision of the Committee of Adjustment in respect of the proposed consent, you must make a written request to the Committee of Adjustment by contacting Ian Search (Secretary-Treasurer). Please see contact details below.
It is requested that this notice be posted by the owner of any land that contains seven or more residential units in a location that is visible to all residents.
Date of Notice: April 1st, 2026
Attachments:
Contact Us
Municipality of Lakeshore
419 Notre Dame St.
Belle River, Ontario N8L 0P8
Phone 519-728-2700
Email PublicService@Lakeshore.ca